Nostra esclusiva RIF R 741
Susegana (TV) - Compendio immobiliare da riqualificare
In posizione centrale e strategica, a ridosso della strada statale Pontebbana, proponiamo un interessante compendio immobiliare da ristrutturare, ideale per chi desidera investire in un progetto di riqualificazione.
La proprietà gode di ottima visibilità e si trova in prossimità di tutti i principali servizi.
Il complesso, stimato complessivamente in circa di 4.500 mc edificati, si compone di:
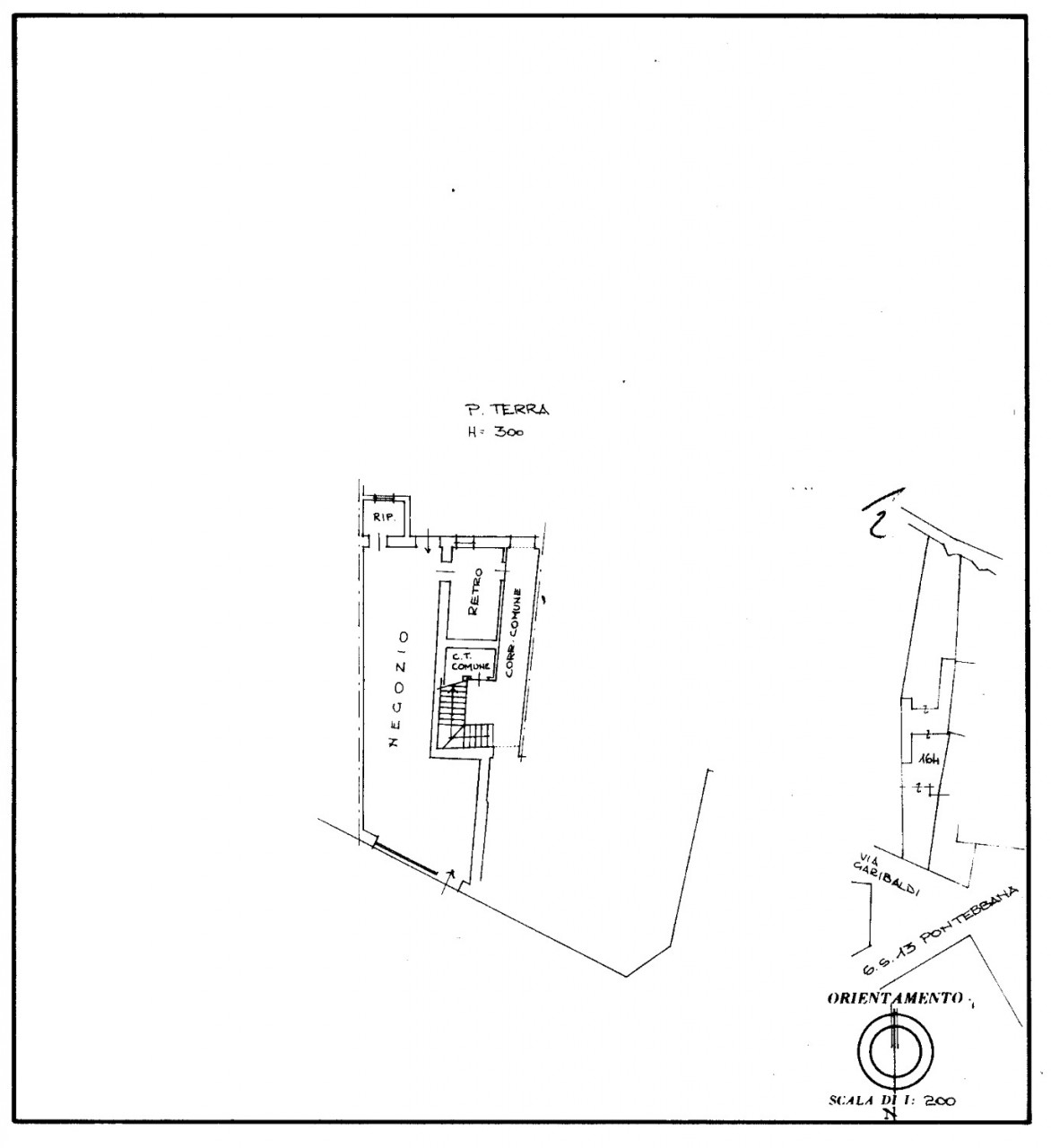
•2 negozi al piano terra (150 mq complessivi),
•3 appartamenti su più livelli, per un totale di 20 vani catastali e circa 500 mq,
•2 magazzini su più livelli, con una superficie complessiva di 250 mq, potenzialmente trasformabili in due unità abitative indipendenti, di cui una con le caratteristiche di una piccola bifamiliare,
•Area scoperta di 655 mq, ideale per spazi esterni o parcheggi.
La proprietà dispone di due accessi carrai sul retro, che conducono alle aree scoperte, dove è possibile ricavare numerosi posti auto scoperti, aumentando la funzionalità dell’intero complesso.
Classificato in Zona A - Centro Storico secondo il vigente regolamento edilizio del Comune di Susegana, il compendio offre molteplici possibilità di intervento, sia a destinazione residenziale che commerciale.
Un’opportunità unica per creare un mix versatile e di grande valore.
Classe energetica “G”.
Per ulteriori dettagli, informazioni tecniche o per fissare un sopralluogo, contattaci.
ULTERIORI DETTAGLI Per informazioni in merito a questo immobile contatta l'agenzia immobiliare Riviera Sas al numero 04225643750 oppure visita il sito rivieraimmobili.com
POSIZIONE L’indirizzo riportato non corrisponde alla reale ubicazione dell’immobile proposto ma è indicativo della zona: per rispetto della privacy degli occupanti l’indirizzo esatto sarà fornito solo in fase di programmazione della visita all’immobile.
APPUNTAMENTI PER VISITE ALL'IMMOBILE PROPOSTO In accordo con i proprietari, le visite presso l’immobile saranno fissate previo appuntamento informativa presso la nostra sede con l’agente immobiliare incaricato.
CONSULENZA MUTUO/FINANZIAMENTO Vi offriamo la consulenza gratuita e non impegnativa di un mediatore creditizio con lo scopo di permettervi di reperire tutte le informazioni necessarie per la Vostra eventuale richiesta di mutuo o finanziamento.
Susegana (TV) - Compendio immobiliare da riqualificare
In posizione centrale e strategica, a ridosso della strada statale Pontebbana, proponiamo un interessante compendio immobiliare da ristrutturare, ideale per chi desidera investire in un progetto di riqualificazione.
La proprietà gode di ottima visibilità e si trova in prossimità di tutti i principali servizi.
Il complesso, stimato complessivamente in circa di 4.500 mc edificati, si compone di:
•2 negozi al piano terra (150 mq complessivi),
•3 appartamenti su più livelli, per un totale di 20 vani catastali e circa 500 mq,
•2 magazzini su più livelli, con una superficie complessiva di 250 mq, potenzialmente trasformabili in due unità abitative indipendenti, di cui una con le caratteristiche di una piccola bifamiliare,
•Area scoperta di 655 mq, ideale per spazi esterni o parcheggi.
La proprietà dispone di due accessi carrai sul retro, che conducono alle aree scoperte, dove è possibile ricavare numerosi posti auto scoperti, aumentando la funzionalità dell’intero complesso.
Classificato in Zona A - Centro Storico secondo il vigente regolamento edilizio del Comune di Susegana, il compendio offre molteplici possibilità di intervento, sia a destinazione residenziale che commerciale.
Un’opportunità unica per creare un mix versatile e di grande valore.
Classe energetica “G”.
Per ulteriori dettagli, informazioni tecniche o per fissare un sopralluogo, contattaci.
ULTERIORI DETTAGLI Per informazioni in merito a questo immobile contatta l'agenzia immobiliare Riviera Sas al numero 04225643750 oppure visita il sito rivieraimmobili.com
POSIZIONE L’indirizzo riportato non corrisponde alla reale ubicazione dell’immobile proposto ma è indicativo della zona: per rispetto della privacy degli occupanti l’indirizzo esatto sarà fornito solo in fase di programmazione della visita all’immobile.
APPUNTAMENTI PER VISITE ALL'IMMOBILE PROPOSTO In accordo con i proprietari, le visite presso l’immobile saranno fissate previo appuntamento informativa presso la nostra sede con l’agente immobiliare incaricato.
CONSULENZA MUTUO/FINANZIAMENTO Vi offriamo la consulenza gratuita e non impegnativa di un mediatore creditizio con lo scopo di permettervi di reperire tutte le informazioni necessarie per la Vostra eventuale richiesta di mutuo o finanziamento.
Mappa
Contattaci
INFORMAZIONI EXTRA
AMBIENTI
| Soggiorno | |
| Giardino condominiale |